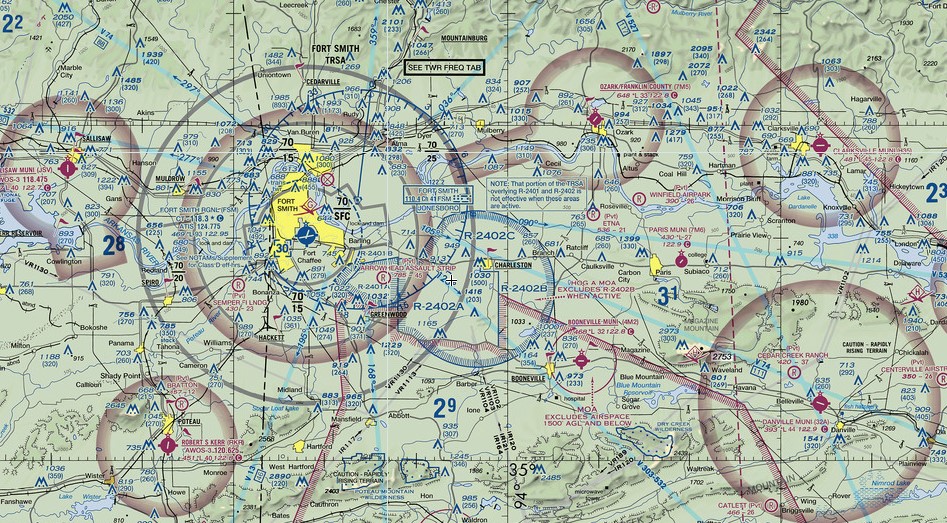
Fort Smith Frequencies


 FSM VOR 110.4
 TWR 118.3
 Ground 121.9
 Razorback App 120.9
 Razorback Dep 134.525
 Clearance Delivery 133.85
 ATIS 124.775
 ASOS (479) 649-2425